Il faut s’attendre à ce que le rythme des articles sur le blog se ralentisse, comme le temps ralentit lui aussi sur l’ile de Koh Tao. C’est à proprement parler le but recherché : se poser sur un lopin de plage, avec rien d’autre à faire qu’explorer la plage, la piscine et les fonds marins.
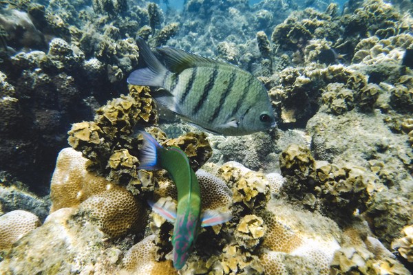
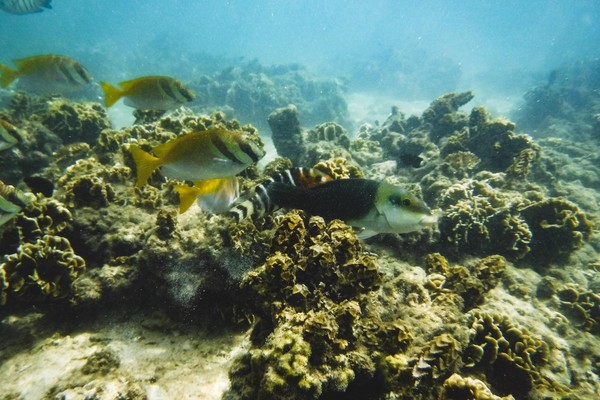
Koh Tao détient le record du monde des émissions de brevet de plongée. Quand on additionne eau chaude, écosystème marin hyper varié, fonds calmes et bon nombre d’expat passionnés … on comprend vite pourquoi. Plus étonnant encore, la richesse marine est accessible dès les abords de la plage : un pied dans l’eau et c’est déjà quelques petits poissons jaunes ou zébrés noir qui viennent chatouiller les orteils, un mètre de plus et on est dans les coraux, deux mètres et voila qu’une myriade de poissons multicolores sont en train de se nourrir.
J’avais expliqué comme j’avais craqué en offrant un appareil photo d’adulte à la petite pour ses deux ans alors qu’on était à Singapour. J’ai récidivé juste avant de partir. Histoire d’apprendre de mes erreurs, j’ai opté pour un modèle un peu plus robuste (shock proof) et tant qu’à faire un peu résistant à l’eau (en fait waterproof à 20m) - un fujifilm XP130 pour les curieux. Si l’idée de départ était juste de contrebalancer le soin immense qu’y apportera la demie portion, il s’avère que c’est papa qui a pas mal joué avec l’appareil … sous l’eau. Un masque-tuba (merci décat’) et hop c’est parti pour une chasse photographique au poisson en snorkeling. On a beau être bercé d’images, ca reste quand même très impressionnant de se retrouver au milieu d’une cinquantaine de poissons et ce sans faire le moindre effort.
Cette journée sera typique de notre programme des prochains jours. On laisse loin toutes les autres pensées parasites en profitant au maximum de l’instant présent. Ces lignes sur le blog nous rappelleront ces moments quand on sera de retour, mais pour le moment nous sommes là, en famille, dans la moiteur de cette île lointaine.















